

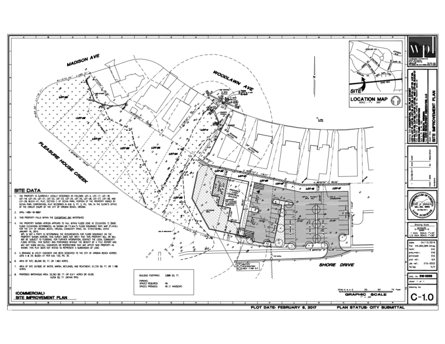
Link to VMRC website for Application #20151622 CCW DEVELOPMENT ASSOCIATES, LLC
Note: Due to timing of May 22nd ’17 CBPA Hearing Date and no presentation made by applicant to Shore Drive Community Coalition, SDCC has not taken a vote on what action to take in response to this proposal.
First Public Presentation of CCW on Pleasure House Creek is this Thursday May 18th ’17 Bayfront Advisory Committee Meeting at Resort & Conference Center 2800 Shore Drive. Meeting starts at 3pm.